El aspirante demócrata a la Casa Blanca, Joe Biden, se acercaba cada vez más este jueves a la victoria en la carrera presidencial estadounidense, mientras funcionarios electorales contaban los votos en un puñado de estados que determinarán el resultado final de las elecciones y empezaban a verse protestas en las …
LEER MÁSGlobal
El 80% de contagios Covid se dan en reuniones familiares
CIUDAD DE MÉXICO.- El equipo de Nutrición de Quirónsalud Málaga ha realizado una serie de recomendaciones para evitar contagios por coronavirus, entre las que se encuentra realizar una correcta higiene de las manos al manipular los alimentos en casa, evitar platos compartidos, limpiar los crudos con lejía alimentaria o los …
LEER MÁSVamos ganando en estados que nos darían la victoria: Joe Biden
Joe Biden, candidato demócrata a la presidencia de Estados Unidos, brindó un mensaje ante sus simpatizantes y ante la población en general, la tarde del miércoles 4 de noviembre, para hablar del panorama que se vive en la actualidad en la nación a un día de las elecciones, al afirmar …
LEER MÁSAplica IMSS más de 2.3 millones de vacunas en todo el país para prevenir influenza estacional
Está cubierto el personal de salud del Seguro Social que atiende a la derechohabiencia. El biológico está garantizado para la población del Régimen Ordinario y del programa IMSS-BIENESTAR: doctor Manuel Cervantes Ocampo. Al 2 de noviembre el Instituto Mexicano del Seguro Social (IMSS) ha aplicado 2.3 millones de vacunas anti …
LEER MÁSFacebook es la red social que más gana por usuario
Facebook es la red social que más ingresos percibe por cada usuario, con un total de 7,89 dólares, y se coloca muy por delante de sus competidores como Twitter, Snapchat y Pinterest, según revelan los resultados económicos del tercer trimestre. El ARPU, siglas de Average Revenue Per User o ‘ingresos …
LEER MÁSGraban película para adultos en pleno Cañón del Sumidero, Chiapas
En redes sociales está causando revuelo un video en el que un director y actor de películas para adultos anuncia que se dirige junto con su equipo al emblemático Cañón del Sumidero, en Chiapas, a realizar una grabación que forma parte de sus proyectos como creador de contenidos de esta …
LEER MÁS¿Por qué tardan tanto tiempo en conocerse los resultados electorales en EU?
Más de 12 horas después de concluidas las votaciones para elegir al presidente de Estados Unidos, aún no hay un ganador, ¿a qué se debe? De acuerdo con Luis Ugalde, director General de Integralia Consultores, el sistema electoral estadounidense “es un desastre”, el cual tiene varios problemas como el Colegio Electoral y la …
LEER MÁS¿Habrá puente el 20 de noviembre de 2020?
El próximo 20 de noviembre se celebra el 110 aniversario de la Revolución Mexicana, por lo que muchos se preguntan si habrá un puente vacacional. El 20 de noviembre de 2020 se conmemora el Aniversario número 110 de la Revolución Mexicana. Sin embargo, este año el 20 de noviembre cae …
LEER MÁSTabasco registra récord histórico de lluvias, suman más de 77 mil damnificados
En Tabasco se registró un récord histórico de lluvias, hasta el momento suman más de 77 mil damnificados por las inundaciones Son cifras oficiales de las lluvias de la semana pasada en Tabasco, dadas a conocer la mañana de este martes en la conferencia de prensa en Palacio Nacional. “No …
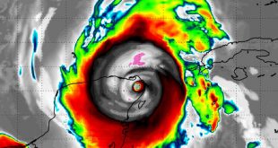
LEER MÁSHuracán Eta se debilita a tormenta tropical en Nicaragua
El huracán Eta se debilitó este miércoles a tormenta tropical y se espera que se convierta en una depresión tropical durante la noche, dijo el Centro Nacional de Huracanes de Estados Unidos (CNH). La madrugada del miércoles, la tormenta estaba localizada a 140 kilómetros al oeste de Puerto Cabezas en …
LEER MÁS
Yucatán al Instante Noticias al Instante