martes , mayo 19 2026
Inicio / Tag Archives: Aarón Palomo Euán

Tag Archives: Aarón Palomo Euán

‘Temor’ en Yucatán por falsas alertas de huracán

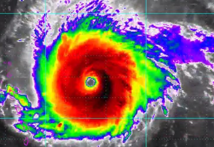
Mérida, Yucatán.- El coordinador estatal de Protección Civil en Yucatán (Procivy), Aarón Palomo Euán, exhortó a la sociedad a no caer en las falsas alertas de huracanes que se pudiesen presentar en las redes sociales, pues ello suele ser muy común una vez que inicie la temporada en mayo próximo. …

LEER MÁS

Yucatán se solidariza con afectados por el sismo

Se instala un centro de acopio de ayuda humanitaria. Mérida, Yucatán,.-Con el establecimiento de un centro estatal de acopio de ayuda humanitaria, Yucatán se solidariza con las personas de Chiapas y Oaxaca que resultaron afectadas por el sismo de 8.2 grados en la escala de Richter que se registró el …

LEER MÁS

Coordinación para evitar accidentes

Inician reuniones de prevención relacionadas con el uso de la pirotecnia. Mérida, Yucatán- Con base en un trabajo coordinado, dependencias estatales, federales y municipales iniciaron una serie de reuniones para generar propuestas, que creen nuevas estrategias o fortalezcan las existentes, enfocadas a prevenir accidentes con el manejo, transporte, venta y …

LEER MÁS