Inundaciones de edificios y cientos de destrozos como cristales rotos y objetos disparados por el aire a causa del viento huracanado son algunos efectos del huracán Otis en México de categoría 5, potencialmente catastrófico, que azota la turística ciudad de Acapulco, sin que se hayan reportado víctimas mortales. Sin embargo, …
LEER MÁSHuracán ‘Otis’ sube a categoría 3 en menos de 3 horas: Sigue su trayectoria EN VIVO
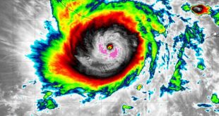
‘Otis’ causará lluvias en varias zonas; se espera que impacte como categoría 4 en territorio mexicano. El huracán ‘Otis’ ha subido a categoría 3 en la escala Saffir-Simpson este martes por la tarde. El fenómeno ha evolucionado rápidamente durante el día, en pocas horas. A las 15:00 horas, ‘Otis’se localiza …
LEER MÁS
Yucatán al Instante Noticias al Instante