sábado , abril 18 2026
Inicio / Global / Huracán ‘Otis’ sube a categoría 3 en menos de 3 horas: Sigue su trayectoria EN VIVO

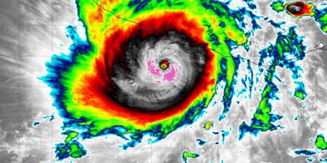
Huracán ‘Otis’ sube a categoría 3 en menos de 3 horas: Sigue su trayectoria EN VIVO

‘Otis’ causará lluvias en varias zonas; se espera que impacte como categoría 4 en territorio mexicano.

Compartir en:

Check Also

Ambiente muy caluroso y probabilidad de lluvias aisladas en la Península

Durante este día dominará el calor en la región, con posibilidad de lluvias aisladas en …

Deja un comentario