sábado , abril 18 2026
Inicio / Global / Así luce ‘Barbara’, el poderoso huracán categoría 4

Así luce ‘Barbara’, el poderoso huracán categoría 4

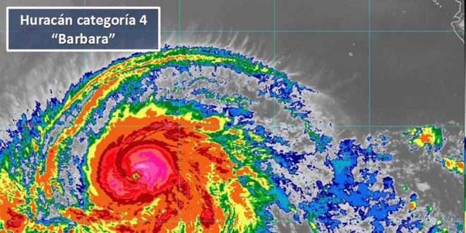
La Comisión Nacional del Agua (Conagua) informó que el huracán “Barbara” se intensificó a categoría 4 en la escala Saffir-Simpson.

El ciclón se localiza al suroeste de la Península de Baja California, sin embargo, no afecta a costas nacionales.

Imágenes de satélite mostraron al poderoso huracán en el Océano Pacífico, el cual presenta vientos máximos sostenidos de 251 kilómetros por hora, rachas de 260 km por hora y desplazamiento hacia el oeste-noreste a 24 km por hora.

Se espera que “Barbara” se degrade en las próximas horas y para este miércoles sea una tormenta tropical.

La Conagua también compartió una foto de satélite del huracán y de la sombra del eclipse de Sol en el hemisferio sur. Información Excelsior.com.mx

Compartir en:

Check Also

Ambiente muy caluroso y probabilidad de lluvias aisladas en la Península

Durante este día dominará el calor en la región, con posibilidad de lluvias aisladas en …

Deja un comentario