El centro del huracán podría ingresar a tierra en la costa norte de Quintana Roo, durante la noche de hoy y la madrugada del miércoles.
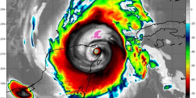
El centro del huracán Delta, categoría 4 en la escala Saffir-Simpson, a las 16:00 horas, tiempo del centro de México, se localizó aproximadamente a 345 kilómetros (km) al este-sureste de Cozumel y a 380 km al sureste de Cancún, ambas poblaciones en Quintana Roo. Tiene vientos máximos sostenidos de 230 kilómetros por hora (km/h), rachas de 280 km/h y se desplaza hacia el oeste-noroeste a 28 km/h.
De acuerdo con los modelos de pronóstico, en el transcurso de la noche de hoy y la madrugada del miércoles, Delta —considerado extremadamente peligroso— podría ingresar a tierra en la costa norte de Quintana Roo, donde se debilitaría ligeramente. Después de cruzar la región oriental de la Península de Yucatán volvería a internarse en aguas del sur del Golfo de México.
Los vientos con fuerza de huracán se extienden hasta 35 km desde el centro del sistema, mientras que los vientos con fuerza de tormenta tropical se propagan hasta 150 km.
Se pronostican lluvias de intensas a puntuales torrenciales (de 150 a 250 milímetros [mm]) en Quintana Roo y Yucatán, y de muy fuertes a intensas (de 75 a 150 mm) en Campeche, las cuales serán con descargas eléctricas y vientos fuertes.
Asimismo, se prevén rachas fuertes de viento de 150 a 240 km/h, oleaje de 6 a 10 metros (m) de altura y marea de tormenta de 1 a 2 m de altura en el norte de Quintana Roo y el oriente de Yucatán.
Siguen vigentes la zona de prevención por vientos de huracán desde Dzilam, Yucatán, hasta Tulum, Quintana Roo, incluyendo a Cozumel, Quintana Roo, así como la zona de prevención por vientos de tormenta tropical desde Dzilam hasta Progreso, en Yucatán, y desde Tulum hasta Punta Herrero, Quintana Roo.
Las lluvias podrían ser con descargas eléctricas, fuertes rachas de viento y provocar deslaves, incremento en los niveles de ríos y arroyos, desbordamientos e inundaciones en zonas bajas, por lo que se exhorta a la población de los estados mencionados y a la navegación marítima, atender los avisos del Servicio Meteorológico Nacional (SMN), de la Comisión Nacional del Agua (Conagua), y seguir las indicaciones de las autoridades estatales, municipales y de Protección Civil.
Yucatán al Instante Noticias al Instante